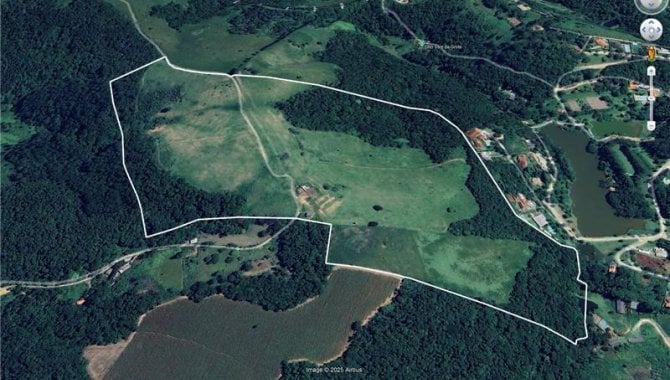
Área 22 ha (Possível Desenvolvimento Imobiliário) - Taboão - São Roque - SP

São Roque, SP R$ 3.605.999,00

  • 3 9:
  • 0 0:
  • 0 0:
  • 0 0
  • 3 9:
  • 0 0:
  • 0 0:
  • 0 0
Aberto
  • Informações Gerais

    Avaliação: 3.605.999,00

    Local:

  • 1º leilão

    Valor:R$ 3.605.999,00

    Data: 23/02/2026

  • 2º leilão

    Valor: R$ 1.802.999,50

    Data: 16/03/2026

  • Responsável

    Mega Leilões

DIREITOS DA MATRÍCULA Nº 785 DO CARTÓRIO DE REGISTRO DE IMÓVEIS DA COMARCA DE SÃO ROQUE/SP - IMÓVEL: Um quinhão de terras, com área de 227.000,00 metros quadrados ou 22.700 hectares (metragem real), situado entre o Bairro do Taboão e o de Ponte Lavrada, neste Município e Comarca, com as seguintes confrontações: tem início no ponto que divide com a viúva, hoje Alexandre Schubert e Mário Biseo e sua mulher, e desse ponto a divisa segue à direita por cerca, confrontando com o mesmo Alexandre Schubert, na distância de 235,61 metros, onde a cerca faz canto num pequeno marco de concreto; daí, desse ponto, a divisa segue à esquerda, confrontando com Pedro Lozano, por cerca, até encontrar um filete d'água, na distância de 267,26 metros; daí, desse ponto, segue à esquerda, pelo filete de água acima, até encontrar a reta que divide com Antonio Silva, e por ela segue em toda extensão de 697,18 metros; neste ponto, faz canto num pequeno ângulo, no córrego, e daí deflete à esquerda e segue em reta, na distância de 433,89 metros, rumo 28º21' NW, passando por um marco de trilho, até encontrar a divisa com Mário Biseo e sua mulher, confrontando com Gert Albert e Prefeitura Municipal de São Roque; desse ponto, a divisa deflete à esquerda e segue confrontando com Mário Biseo e sua mulher em uma reta na distância de 346,08 metros, rumo 83º15' NW, até encontrar o ponto inicial. Consta na Av.02 desta matrícula que o imóvel denomina-se atualmente, “Sítio do Alto”.
.
Comitente
Comarca
Cidade São Roque - SP
Lote J119276
Tipo Judicial
Local Online
Endereço São Roque, SP
Matrícula
Processo 1014502-15.2022.8.26.0564 ()
Exequente
Comitente
Executado
São Roque, SP
São Roque/SP

Veja Mais

Outras portunidades em: São Roque - SP