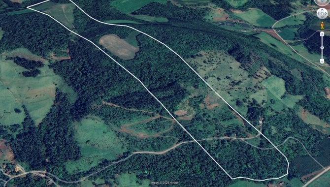
Fazenda Taquara 35,95 ha - Linha Santa Lúcia - Nova Itaberaba - SC

Nova Itaberaba, SC R$ 1.140.000,00

  • 1 8:
  • 0 0:
  • 0 0:
  • 0 0
  • 1 8:
  • 0 0:
  • 0 0:
  • 0 0
Aberto
  • Informações Gerais

    Avaliação: 1.140.000,00

    Local:

  • 1º leilão

    Valor:R$ 1.140.000,00

    Data: 12/03/2026

  • 2º leilão

    Valor: R$ 570.000,00

    Data: 30/03/2026

  • Responsável

    Mega Leilões

MATRÍCULA Nº 57.814 DO 1º CARTÓRIO DE REGISTRO DE IMÓVEIS DA COMARCA DE CHAPECÓ/SC - IMÓVEL: O lote colonial nº 93, sito na Fazenda Taquara, no atual Municipio de Caxambu do Sul, Comarca de Chapecó, Estado de Santa Catarina, com a área de 359.500m2, Confrontando: ao Norte, com o lote nº 91; ao Sul, com o lote nº 95; ao Leste, com o lote nº 04; ao Oeste, com o lote nº 94. Consta no R.04 desta matrícula que o imóvel foi dado em hipoteca a COOPERATIVA REGIONAL ALFA. Consta na Av.05 desta matrícula reserva legal de 7,21ha do imóvel. Consta no R.06 desta matrícula que o imóvel foi dado em hipoteca a ALLIANCE ONE BRASIL EXPORTADORA DE TABACOS LTDA.
.
Comitente
Comarca
Cidade Nova Itaberaba - SC
Lote J120628
Tipo Judicial
Local Online
Endereço Nova Itaberaba, SC
Matrícula
Processo 0020131-55.2007.8.24.0018 ()
Exequente
Comitente
Executado
Nova Itaberaba, SC
Nova Itaberaba/SC

Veja Mais

Outras portunidades em: Nova Itaberaba - SC